Nieuwehaven
Nieuwehaven
Nieuwehaven
Nieuwehaven
Nieuwehaven
Nieuwehaven
Nieuwehaven
Nieuwehaven
Nieuwehaven
Nieuwehaven

Nieuwehaven

GOUDA

vraagprijs

€ 35.000,- k.k.

Interesse?

Neem contact met ons op!

Neem contact met ons op

Omschrijving

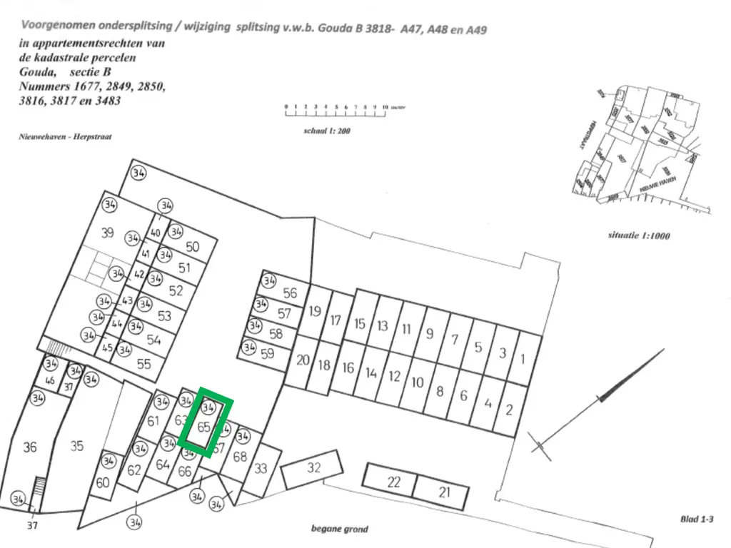
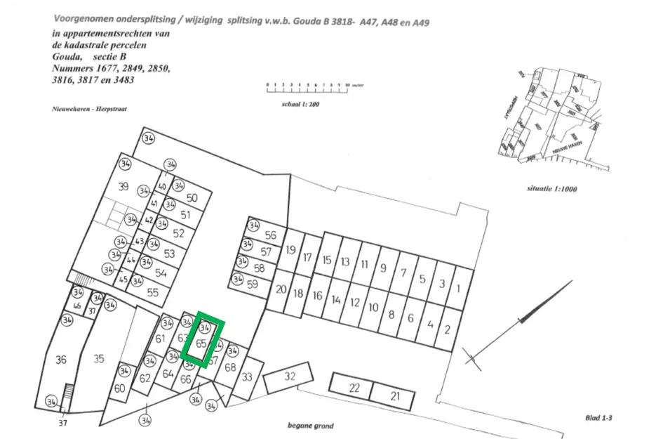
TE KOOP: PARKEERPLAATS AAN DE NIEUWEHAVEN!

Ben jij op zoek naar een stressvrije parkeeroplossing in het centrum? Wij bieden een parkeerplaats aan op een met een slagboom afgesloten parkeerplein aan de Nieuwehaven, achter de Kleiwegstraat.

Met het veranderde parkeerbeleid in Gouda, waardoor parkeren op straat minder gemakkelijk en duurder is geworden, zijn deze parkeerplaatsen een ware uitkomst. Ook voor bewoners van de binnenstad, die slechts één vergunning per adres kunnen krijgen. Dat betekent dat deze plekken ook perfect zijn voor een tweede auto!

De parkeerplaats is kadastraal bekend onder : gemeente Gouda, sectie B, perceel nummer 3818, appartementsindexnummer: A65. De VvE bijdrage is ca. € 206,- per jaar

Heb jij interesse in deze parkeerplaats? Laat dan je gegevens achter Bij Viavesta Woningmakelaardij.
Lees meer

Kenmerken

Overdracht

Vraagprijs
€ 35.000,- k.k.
Status
beschikbaar
Aanvaarding
in overleg

Bouw

Soort woning
onbekend
Soort onbekend

Energie

Oppervlakten en inhoud

Indeling

Locatie

Afspraak maken?

Vul ons contactformulier in en wij nemen zo snel mogelijk contact met je op.